売土地 前橋市西善町(B区画)
西善町 閑静な住宅地,約115坪の売土地です♪(B区画)
農振除外申請が不要の敷地ですので、早期着工が可能な売土地です!■閑静な立地、有効面積100坪以上の広い面積でお探しのお客様にもお勧めです♪■建築条件はございません!■北関東自動車道「前橋南IC」まで車で約6分ですので、高速での通勤もの便利な立地です!■前橋みなみモールまで車で約8分,セキチュー及びとりせんまで車で約4分,ガーデン前橋まで車で約8分ですので、日々のお買い物も便利な住環境です♫
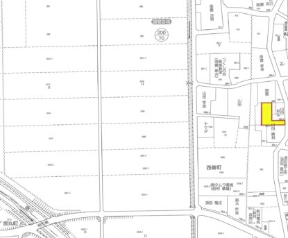
| 価格 | 769万円 | 所在地 | 前橋市西善町992番1の一部 | ||||
|---|---|---|---|---|---|---|---|
| 坪単価 | 約6.67万円/坪 | 物件種別 | 土地 | 間取り | - | ||
| 権利 | 所有権 | 土地面積 | (予定面積)380.98㎡ | 建ぺい率/容積率 | 70%/200% | ||
| 接道 | 東側 4.8~5.2m公道 | 建物面積 | -㎡ | 私道負担 | 無し | ||
| セットバック | 不要 | 交通 | JR両毛線「駒形駅」まで車で約8分 | 学校区 | 山王小学校(約1.6km)・第七中学校(約1.4km) | ||
| 取引 | 一般媒介 | 都市計画 | 調整区域 | 用途地域 | 無指定 | ||
| 地目 | 宅地 | 地勢 | 平坦 | 現状 | 建物有 | ||
| 引渡条件 | 上物有(更地引渡し) | 国土法 | - | 引渡し | 相談 | ||

設備・備考
| 設備 | 電気, プロパンガス, 上水道, 浄化槽 | ||||
|---|---|---|---|---|---|
| 備考 | 建物建築時、43条許可申請若しくは都市計画法第34条11号許可を要します(買主費用負担)■文化財包蔵地区内(前橋市0388遺跡)■必要に応じた盛土等の造成工事等は、別途買主負担となります■上水道は売主負担にて既存建物にて利用中の配管を本件敷地内に切り回し予定)■新築時、合併浄化槽設置要■売主負担にて、測量及び境界確定実施予定■既存建物は売主負担にて解体更地でのお引渡し■浸水深3.0m未満 | ||||
地図・周辺環境
*印は必須













